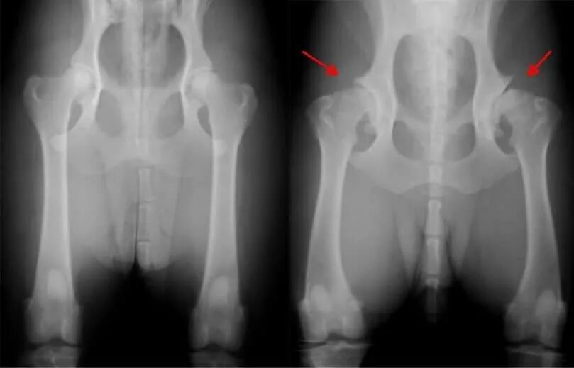
Лечение тазобедренного сустава у собак