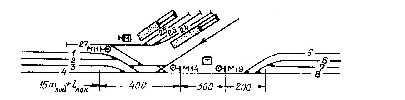
Формирование сборного поезда